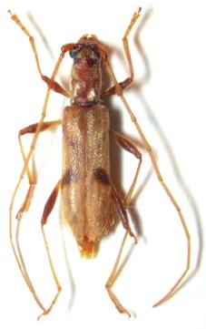
Parasalpinia kojimai Cerambycinae  Callidiopini
Parasalpinia kojimai Hayashi, 1962
female, Japan