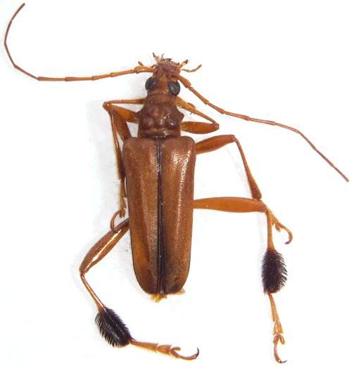
Artelida crinipes Lepturinae  Apatophyseini
Artelida crinipes (Thomson, 1864)
female, Toamasina