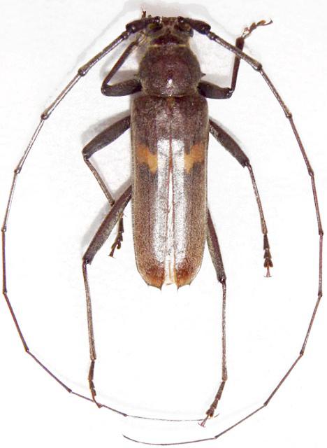
Knulliana cincta cincta Cerambycinae  Bothriospilini
Knulliana cincta cincta (Drury, 1773)
male, Texas (USA)