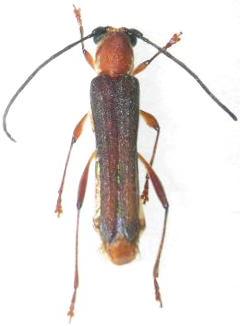
Thranius rufescens Cerambycinae  Thraniini
Thranius rufescens (Bates, 1884)
male, Japan