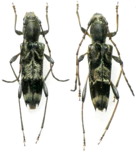
Anaglyptus (Anaglyptus) yakushimanus Cerambycinae  Anaglyptini
Anaglyptus (Anaglyptus) yakushimanus Hayashi, 1968
females, Japan