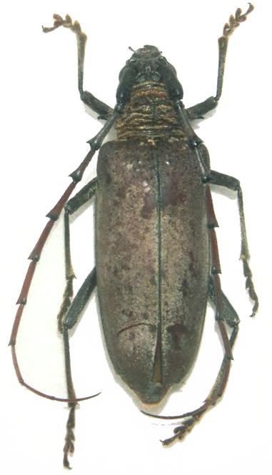
Teraschema menalcas Cerambycinae  Cerambycini
Teraschema menalcas Thomson, 1860
female, Madagascar