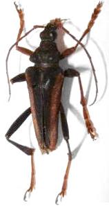
Mastododera lateralis Lepturinae  Apatophyseini
Mastododera lateralis (Guérin-Méneville, 1844)
typical form