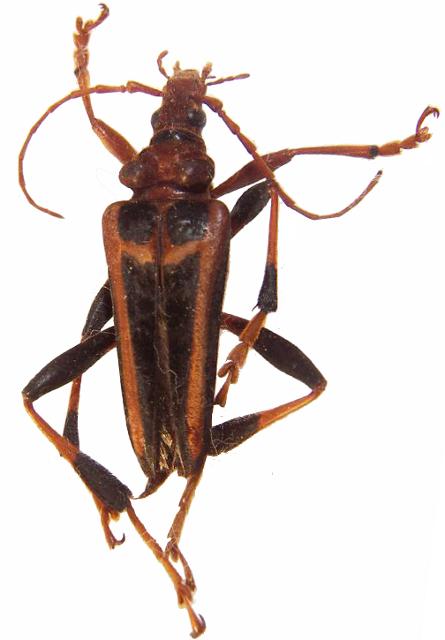
Mastododera transversalis Lepturinae  Apatophyseini
Mastododera transversalis Fairmaire, 1889
male, Toamasina