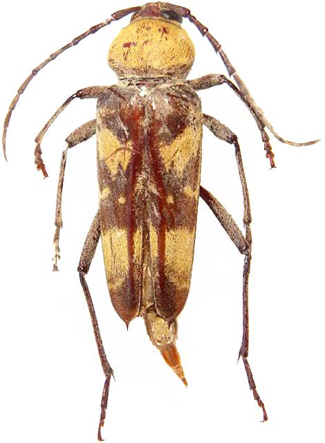
Megacyllene antennata Cerambycinae  Clytini
Megacyllene antennata (White, 1855)
female, Texas (USA)