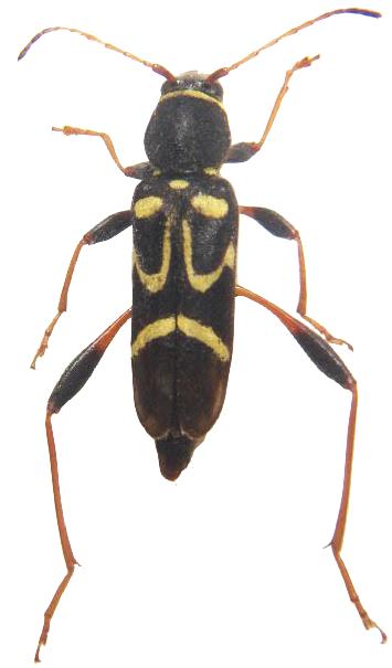
Clytus ruricola Cerambycinae  Clytini
Clytus ruricola (Olivier, 1795)
Eastern of North America