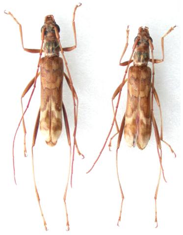
Leptoxenus ibidiiformis Cerambycinae  Xystrocerini
Leptoxenus ibidiiformis Bates, 1877
males, Japan