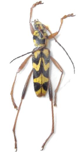
Demonax (Demonax) protogenes Cerambycinae  Clytini
Demonax (Demonax) protogenes (Newman, 1842)
male, Philippines