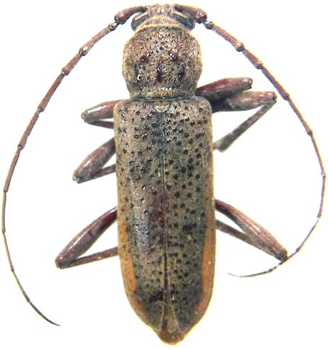
Brothylus gemmulatus Cerambycinae  Hesperophanini
Brothylus gemmulatus LeConte, 1859
male