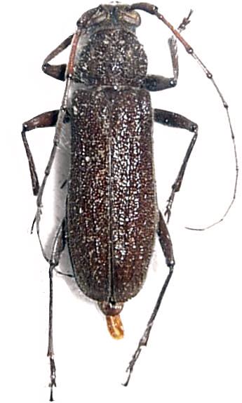
Stromatium barbatum Cerambycinae  Hesperophanini
Stromatium barbatum (Fabricius, 1775)
female, Myanmar