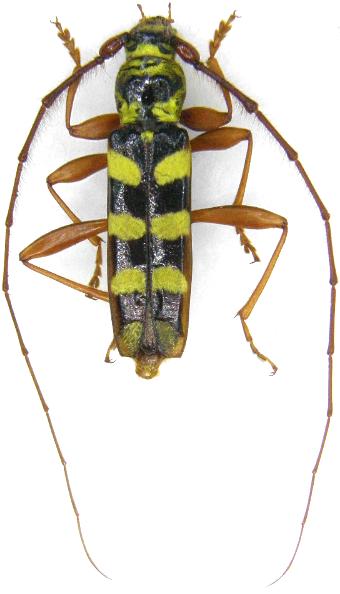
Dryobius sexnotatus Cerambycinae  Dryobiini
Dryobius sexnotatus Linsley, 1957
male, USA