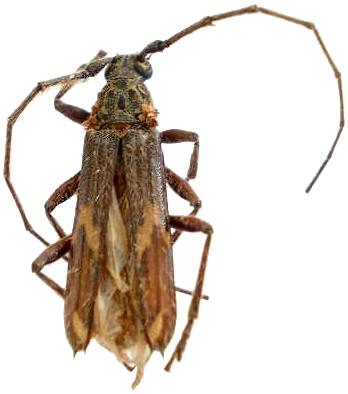
Eurysthea lacordairei Cerambycinae  Elaphidiini
Eurysthea lacordairei (Lacordaire, 1869)
Brasil