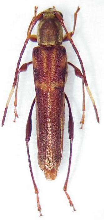
Thranius variegatus Cerambycinae  Thraniini
Thranius variegatus Bates, 1873
female, Japan