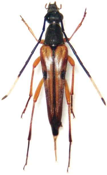
Mimostrangalia longicornis Lepturinae  Lepturini
Mimostrangalia longicornis (Gressitt, 1934)
female, Japan