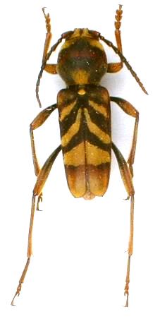
Xylotrechus chinensis Cerambycinae  Clytini
Xylotrechus chinensis (Chevrolat, 1852)
male, Japan