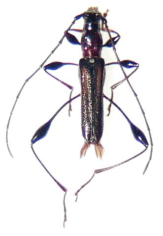
Artimpaza setigera japonica Cerambycinae  Cleomenini
Artimpaza setigera japonica (Pic, 1928)
Japan