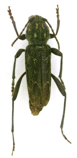
Xylotrechus rusticus Cerambycinae  Clytini
Xylotrechus rusticus (Linnaeus, 1758)