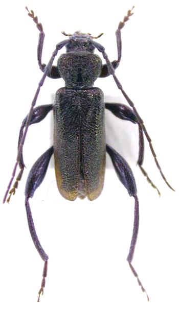
Palaeocallidium kuratai Cerambycinae  Callidiini
Palaeocallidium kuratai Yokoyama, 1972
male, Japan