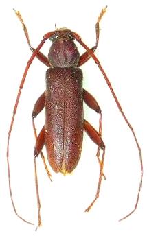
Nortia carinicollis Cerambycinae  Achrysonini
Nortia carinicollis Schwarzer, 1925
male, Japan