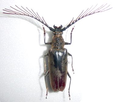
Cerambycinae Cerambycini
Cyriopalus wallacei
Pascoe, 1869
male, Malaysia