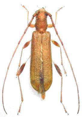
Comusia testacea Cerambycinae  Obriini
Comusia testacea (Gressitt, 1937)
female, Japan